맑음7.0℃미세먼지농도 매우나쁨 305㎍/㎥ 2026-04-20 현재

공유재산(유휴부지) 공개

주의사항

  • 공개된 공유재산 정보는 기본 현황이며, 실제 매각(대부) 가능 여부는 행정 절차 및 관련 부서의 종합적인 검토를 통해 최종 결정됩니다.
  • 공유재산의 실제 위치, 현황, 점유 여부 등을 직접 현장 방문하여 확인하고, 필요한 경우 등기부등본, 지적도, 토지이용계획 확인원 등을 열람해 주시기 바랍니다.
  • 매각 시 발생하는 제반 비용(감정평가 및 측량 수수료 등)은 매수자(신청자) 부담이며, 감정가는 공유재산 평가 기준에 따라 공정하게 산정됩니다.
  • 공개된 공유재산은 행정계획 변경, 공공 활용 결정 등에 따라 매각(대부) 목록에서 별도 안내 없이 제외 또는 변경될 수 있습니다.
  • 일부 재산은 인접 토지 소유자 등 특정 요건을 갖춘 경우 수의계약이 가능합니다.
  • 아래의 필지는 군산시 소유의 보존 부적합 및 행정계획이 없는 유휴재산으로, 매각 또는 대부를 희망하시는 분께서는 군산시 회계과로 문의하여 주시기 바랍니다.
    ※ 신청문의 : 군산시 회계과 재산관리계(☎ 063-454-2382~3)

■ 기본현황

기본정보
물건종류 부동산
물건관리기관 군산시 연락처 063-454-2382

■ 재산현황

재산현황 정보
재산관리관 회계과 연락처 063-454-2382
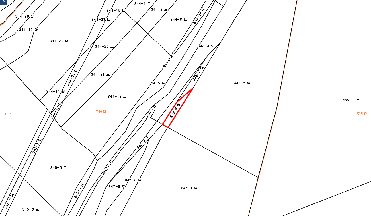
소재지 전북특별자치도 군산시 성산면 고봉리 343-8
토지 건물
지목(공부) 임야 건축연도
지목(현황) 구조형태
지적(면적) 57㎡ 건축면적
공유지분 / 층수
기타
대부현황 미대부
관련정보 관련이미지1 관련이미지2 관련이미지3
작성기준일 2026-02-10
OPEN 공공누리 공공저작물 자유이용허락-제4유형(출처표시 + 상업적 이용금지 + 변경금지)

군산시청 회계과 재산관리계에서 제작한 "공유재산(유휴부지) 공개"저작물은 "공공누리 제4유형"에 따라 이용 할 수 있습니다.

제4유형: 출처표시+상업적 이용금지+변경금지
  • 출처표시
  • 비상업적 이용만 가능
  • 변형 등 2차적 저작물 작성 금지
※ 공공누리 마크를 클릭하시면 상세내용을 확인 하실 수 있습니다.
콘텐츠 관리부서 회계과 재산관리계
담당전화 063-454-2382
최근수정일 2025-07-15

열람하신 정보에 대해 만족하십니까?

정보만족도조사

군산시알림

군산시농어촌종합지원센터에서 마을동아리 지원사업 대상자를 모집하오니 많은 신청 바랍니다.※ 자세한 내용은 첨부파일 공고문 참고
시정소식 | 26.04.17
2026 통합문화이용권 지원사업 문화, 관광, 체육 분야 신규 가맹점 모집 -   1. 공 모 명 : 2026년 통합문화이용권 지원사업 신규 가맹점 공개 모집 2. 모집대상 : 전북특별자치도 문화·관광·체육 분야 업체 - 문화, 관광
시정소식 | 26.04.17
2026년 2분기 주민자치 프로그램 운영 현황을 아래와 같이 안내드립니다.본 자료는 2026년 4월 기준으로 작성되었으며, 프로그램은 운영여건에 따라수시로 변경(유지·폐강 등) 될 수 있습니다. 세부사항(접수·대기·추가모집, 수강료
시정소식 | 26.04.14
군산시 인사위원회 공고 제2026–11호 2026년 제3회 군산시 지방임기제공무원 채용 재공고 군산시에서 근무할 지방임기제공무원을 다음과 같이 채용하고자 합니다.2026년 4월 16일군산시 인사위원회 위원장
시험/채용 | 26.04.16
군산시가족센터에서 다음과 같이 신규직원을 공개모집 하오니 관심 있는 분들의 많은 지원 바랍니다. 맑은 고딕", "malgun gothic", 굴림, gulim, applegothic, sans-serif;">  맑은 고딕", "
시험/채용 | 26.04.15
2026년 군산시보건소 기간제근로자(관리의사) 채용 공고를 다음과 같이 채용하고자 합니다. ○ 채용 개요1. 채용 방법: 공개모집 후 서류 및 면접 심사로 선발2. 원서 교부: 공고문에 첨부된 양식을 출력하여 사용3. 모집 인원: 1
시험/채용 | 26.04.15
원서접수 접수기간 : 2026. 4. 17. ~ 4. 20. 접수방법 : 방문 접수 및 이메일 접수 (4월 20일 월요일 18시 이전 도착분에 한함) 접 수 처- 방 문 : 월명동 행정복지센터 (문의: 063-454-7384)-
읍면동소식 | 26.04.20
군산시 나운2동 행정복지센터는 16일 정기후원을 통해 나눔에 동참한 대지광고(대표 백인철)를 방문해 착한가게 현판을 전달했다.흥남동 진포중 인근에 위치한 대지광고는 간판 및 광고물 제조업체로, 백인철 대표가 매월 3만 원의 정기 후원
읍면동소식 | 26.04.17
📢 2027학년도 입시설명회 안내 2027학년도 대입, 뭐가 어떻게 달라질까?EBS 입시대표 강사 정제원 선생님께서대입 제도부터 진로진학 실전 가이드, 고교학점제까지핵심만 쏙쏙 정리해드립니다. 📅 일시 : 2026. 2. 21.(
행사안내 | 26.01.28
2026 대한민국 이스포츠 리그(KEL) 사업 설명회 개최 안내 - 일 시 : ‘26. 1. 26.(월) 15:00 ~ 17:00 - 장 소 : e스포츠 명예의 전당 - 참석대상 : 지자체(시도/시군구), 지방체육단체, 공공기관 등
행사안내 | 26.01.22
군산여성인력개발센터는 평생교육이용권 사용기관으로 다양한 평생교육이용권프로그램을 운영하고 있어 안내드립니다.   ▶평생교육이용권 이란?학습자가 본인의 학습 요구에 따라 자율적으로 학습 활동을 결정하고 참여할 수 있도록 연간 35만원의
교육안내 | 26.04.17
2026년 군산시평생학습관 정규 2기 프로그램 수강생 모집 ○ 접수기간 (인터넷) 2026. 4. 29.(수) 9시 ~ 5. 6.(수) 18시 (방 문) 2026. 4. 30.(목) 9시 ~ 18시 ○ 운영강좌 : 55개 강좌(1인2
교육안내 | 26.04.16
2026년 소상공인시장진흥공단에서 지원하는 희망리턴패키지 특화취업지원 심화교육 안내 드립니다.   <신청자격>- 사업운영기간이 60일 이상인 2023년 1월 1일 이후 폐업자- 취업의사가 있는 만 69세 이하 폐업(예정)
교육안내 | 26.04.13
행사일정표(4. 21. 화)
행사일정표 | 26.04.20
행사일정표(4. 20. 월)
행사일정표 | 26.04.18
주간행사계획(4. 20.~ 4. 26.)_예정(수정)
행사일정표 | 26.04.18
상단(TOP)으로 이동

[54078] 전북특별자치도 군산시 시청로 17 (조촌동, 군산시청) 대표전화 063-454-4000 (정규업무시간 외 당직실 연결)

군산시 누리집(홈페이지)은 운영체제(OS):Windows 7이상, 인터넷 브라우저:IE 9이상, 파이어 폭스, 크롬, 사파리에 최적화 되어있습니다.

본 홈페이지에 게시된 이메일 주소가 자동 수집되는 것을 거부하며, 이를 위반시 정보통신망법에 의해 처벌됨을 유념하시기 바랍니다.

페이스북  공유 유튜브 공유 인스타 공유 블로그 공유 (사)한국장애인단체총연합회 한국웹접근성인증평가원 웹 접근성 우수사이트 인증마크(WA인증마크)